De juin à Août

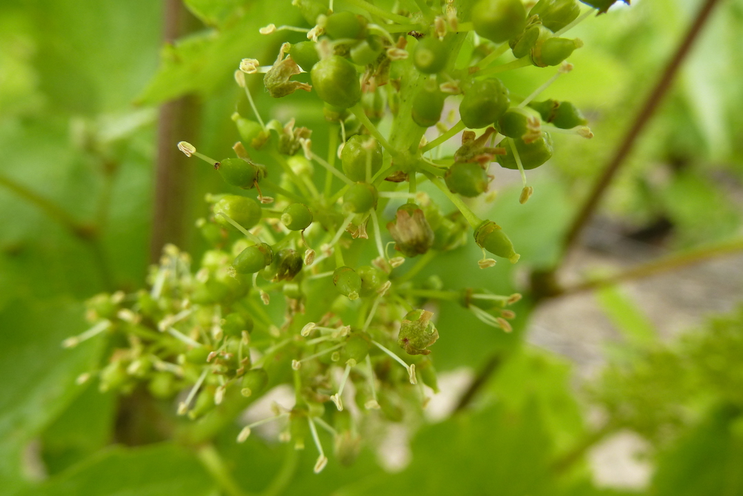
Fleur de la vigne
Fin mai, début juin, une étape très importante se déroule : la floraison. Un bon déroulement de la floraison (3 à 5 jours s’il fait beau) augure d’une belle récolte. A l’inverse, s’il pleut et qu’il fait froid sur la fleur, les graines vont avorter : ce sont les phénomènes de coulure et de millerandage.